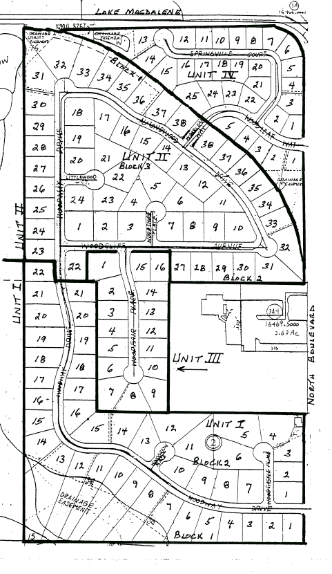
Woodbriar Village was built between 1976 and 1978 in 4 phases. See the maps below for more detail.
Unit 1 includes Woodway Drive, from North Boulevard to just south of what would be Woodcliff Avenue, plus Woodcastle Place and Woodgreen Place.
Unit 2 added the rest of Woodway Drive, plus Woodcliff Avenue, Woodshire Place, Littlewood Court and Almondwood Drive.
Unit III added Woodfair Place.
Unit IV added Woodleaf Way and Springville Court. Unit IV Is called "The Grove at Woodbriar" and has not joined with the Woodbriar Homeowners Association.
Go to Hillsborough Co. Property Record Search webpage to find and view details of any specific address.
